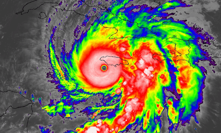
As Hurricane Melissa creeps towards Jamaica, bringing intense rain and winds, residents are grappling with each bodily and emotional tolls.
Support Greater and Subscribe to view content
This is premium stuff. Subscribe to read the entire article.
Login if you have purchased











